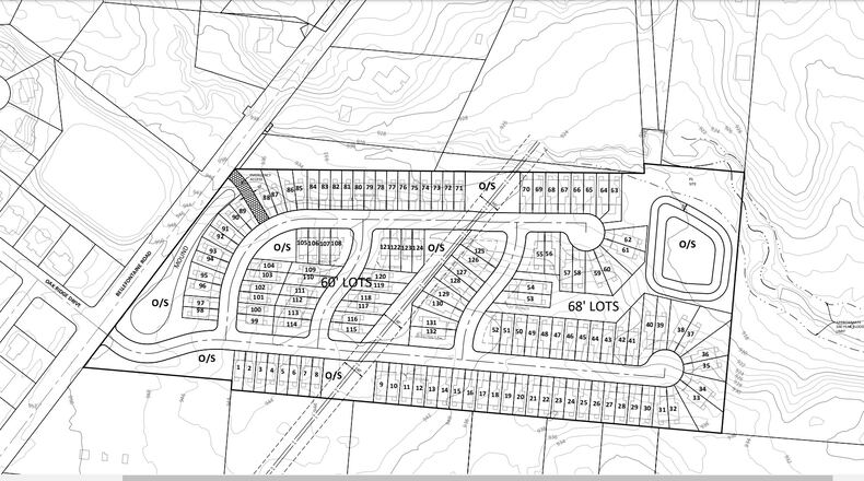
Campbell Berling is the project developer. The land is currently zoned for agriculture. Council will have to vote to change the zoning for the developer to be able to build on the land. A public hearing is set for the Jan. 10 council meeting.
Bob Krohngold, a spokesman for the developer, said the products will be catered to people who want to own a home but don’t want the maintenance and upkeep. The property owners will own their own homes, he said, but the Home Owners Association would be responsible for the upkeep of the property. The target market will be age 55 and older.
Krohngold said the product has been successful in markets in Kentucky.
“It’s a unique product, and we’ve had a lot of positive feedback from folks that are buying that,” he said.
Mayor Jeff Gore said he liked the idea but asked why the more rural area was picked and why it wasn’t somewhere closer to shopping or other amenities in Huber Heights. He said he had been speaking to residents nearby and said the big question is what the developer saw in that land.
“I love the project,” Gore said. “I’m not in love with where you want to build it.”
Krohngold said the land had been sitting for a few years and was available for building. He said the land wouldn’t work as a single-family division because the cost to develop it would be too much without as much reward. With the proposed product, he said the land would be feasible to develop.
Residents of The Oaks have written several letters expressing concerns about this development. Cindy and Brad Smith told the city they were concerned about the high density of the proposed homes and noted the application “does not conform with existing surrounding property uses.”
Another resident, Fred A. Aikens, who said he was an HOA board member for The Oaks, said he believed in growing Huber Heights, but the city needed to be strategic.
“As homeowners, we cannot afford to allow developers to come into the city and cause irreparable damage to our neighborhoods,” Aikens wrote.
About the Author

